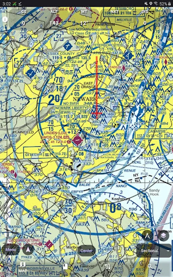
In this navigation app, pilots access georeferenced FAA charts, approach plates, and traffic data. Includes ADS-B support, weather overlays, and chart management features.
AppRecs review analysis
AppRecs rating 4.5. Trustworthiness 71 out of 100. Review manipulation risk 32 out of 100. Based on a review sample analyzed.
★★★★☆
4.5
AppRecs Rating
Ratings breakdown
5 star
73%
4 star
18%
3 star
3%
2 star
3%
1 star
3%
What to know
✓
Credible reviews
71% trustworthiness score from analyzed reviews
✓
High user satisfaction
73% of sampled ratings are 5 stars
✓
Authentic reviews
Natural distribution, no red flags
About AvareX
AvareX is designed for pilots and contains Geo-referenced FAA Aeronautical Charts, IFR (High and Low), VFR (Sectional and TAC), Flyway, helicopter, instrument approach plates, and Chart Supplements for the United States and its territories only. For charts outside of the Unites States AvareX relies on "OSM" or Open Street Maps. AvareX supports ADS-B In data from any Wi-FI GDL-90 device (e.g. StratuX, late model StratuS, iLevil, etc.) and will display traffic, weather, and other ADS-B received data.
AvareX is completely free to use without cost, paid subscription, ads, or sale of your personal information. AvareX is a pending replacement for the original Avare application. AvareX is community supported and funded through user donations.
AvareX is currently in the Beta version active development stage. Pilots are testing AvareX, using it in flight, providing feedback, and submitting feature requests.
We invite you to join the international Apps4Av community in further refining this amazing app. Join our YouTube Channel and Google Groups Forum, and help to our further refining of AvareX (X=Cross-Platform). AvareX is the next generation of the popular legacy Single-Platform (Android only) Avare app. AvareX now runs on every major computing platform: iOS (iPhone/iPad), MacOS, Windows, Linux, ChromeOS, and of course Android.
Join the mailing list for tips, tricks, support, and other help at https://groups.google.com/g/apps4av-forum or apps4av-forum@googlegroups.com
AvareX is completely free to use without cost, paid subscription, ads, or sale of your personal information. AvareX is a pending replacement for the original Avare application. AvareX is community supported and funded through user donations.
AvareX is currently in the Beta version active development stage. Pilots are testing AvareX, using it in flight, providing feedback, and submitting feature requests.
We invite you to join the international Apps4Av community in further refining this amazing app. Join our YouTube Channel and Google Groups Forum, and help to our further refining of AvareX (X=Cross-Platform). AvareX is the next generation of the popular legacy Single-Platform (Android only) Avare app. AvareX now runs on every major computing platform: iOS (iPhone/iPad), MacOS, Windows, Linux, ChromeOS, and of course Android.
Join the mailing list for tips, tricks, support, and other help at https://groups.google.com/g/apps4av-forum or apps4av-forum@googlegroups.com