As the name implies, SonarPhone turns your smartphone or tablet into a fully functional touch screen sonar system that will rival the performance of sonar systems costing hundreds more. You don’t need cell phone coverage to use it, the SonarPhone Sonar Transmitter will work anywhere in the world. The SonarPhone transmitter creates its own WiFi hotspot and you can share its signal with as many people as you wish or password protect it just for yourself.
To use the SonarPhone App in anything other than “Demo Mode” you will need to connect to an existing SonarPhone Sonar WiFi Transmitter or purchase one of the three options yourself. The T-POD (SP100) is a ultra portable WiFi transmitter systems that has a self contained battery and can be pulled behind your boat, cast or thrown from shore. The T-BOX (SP200) is a more permanently mounted system that is mounted in a boat with access to a 12 volt power supply (not included). Or the T-BOX (SP300) which is the T-BOX mounted on its own 12 volt battery pack to make it more portable.
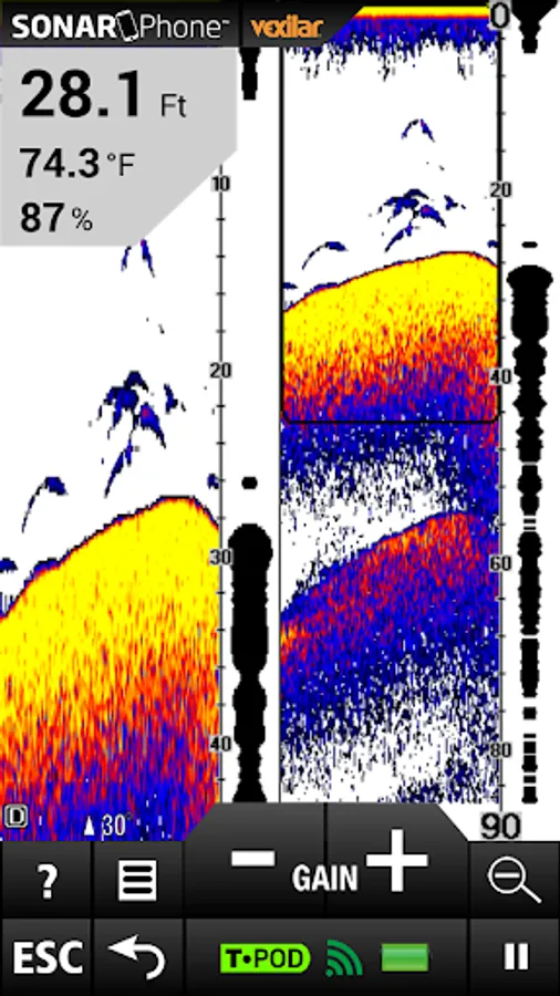
SonarPhone delivers a multi-color color display plus it offers a robust menu of features you will be able to “Test Drive” by downloading this SonarPhone App and play the system in the “DEMO” setting.
The SonarPhone App includes 17 language options: English, Spanish, German, Polish, Korean, Japanese, Chinese, Portuguese, Dutch, Finnish, Russian, Italian, Czech, Danish, French, Swedish and Greek.
For a limited time, all SonarPhone Sonar/Transmitter systems come with a bonus gift! A SmartPhone neoprene armband so you will have easy and safe access to your phone display at all times.
Depth Sounder Features
> Compatibility: Android 2.0 and up
> Automatic Ranging
> Transmit Range: 90 yards
> Water Temperature, Depth Indicator
> Audible Alarms for Fish/ Shallow/Low Battery
> Fish Icon
> Zoom Bottom Track
> Noise Rejection
> Surface Clarity
> Battery Indicator
> Screen controls: Touch screen, split screen display with touch screen zoom control.
Specifications - SP100 Wi-Fi Transducer Pod
> Usage: Impact resistant chassis. Cast it or troll it.
> Transducer: Water activated transmitter
> Max depth range: 120 feet
> Sonar frequency: 125 kHz
> Single Beam: 30º
> Power source: 3.7V rechargeable battery.
> Runs for 4 continuous hours per charge.
> USB port charging system.
> Power output: 400 watts peak-to-peak
> Transmit speed: 100 Mbps
> Screen controls: Touch screen controls
> One year warranty
Specifications - SP200 & SP300 Wi-Fi Boat Sonar
> Permanent boat installation: (#SP200 only)
> Portable boat installation w/suction cup transducer bracket: ( #SP300 only)
> Transducer: High-speed skimmer-style transducer with keel offset and 6 meters of cable.
> Max depth range: 240 Feet
> Sonar frequency: 200/83 kHz
> Dual Beam: 20º/40º
> Power source: 12V DC power
> Power output: 800 Watts Peak-to-Peak
> Transmit speed: 100 Mbps
> One year warranty
> Included 12V, 4.5 amp-hour battery and charger. (#SP300 only)
> Carry case with 12 volt battery and charger: (#SP300 only)
sonarphone.mobi
To use the SonarPhone App in anything other than “Demo Mode” you will need to connect to an existing SonarPhone Sonar WiFi Transmitter or purchase one of the three options yourself. The T-POD (SP100) is a ultra portable WiFi transmitter systems that has a self contained battery and can be pulled behind your boat, cast or thrown from shore. The T-BOX (SP200) is a more permanently mounted system that is mounted in a boat with access to a 12 volt power supply (not included). Or the T-BOX (SP300) which is the T-BOX mounted on its own 12 volt battery pack to make it more portable.
SonarPhone delivers a multi-color color display plus it offers a robust menu of features you will be able to “Test Drive” by downloading this SonarPhone App and play the system in the “DEMO” setting.
The SonarPhone App includes 17 language options: English, Spanish, German, Polish, Korean, Japanese, Chinese, Portuguese, Dutch, Finnish, Russian, Italian, Czech, Danish, French, Swedish and Greek.
For a limited time, all SonarPhone Sonar/Transmitter systems come with a bonus gift! A SmartPhone neoprene armband so you will have easy and safe access to your phone display at all times.
Depth Sounder Features
> Compatibility: Android 2.0 and up
> Automatic Ranging
> Transmit Range: 90 yards
> Water Temperature, Depth Indicator
> Audible Alarms for Fish/ Shallow/Low Battery
> Fish Icon
> Zoom Bottom Track
> Noise Rejection
> Surface Clarity
> Battery Indicator
> Screen controls: Touch screen, split screen display with touch screen zoom control.
Specifications - SP100 Wi-Fi Transducer Pod
> Usage: Impact resistant chassis. Cast it or troll it.
> Transducer: Water activated transmitter
> Max depth range: 120 feet
> Sonar frequency: 125 kHz
> Single Beam: 30º
> Power source: 3.7V rechargeable battery.
> Runs for 4 continuous hours per charge.
> USB port charging system.
> Power output: 400 watts peak-to-peak
> Transmit speed: 100 Mbps
> Screen controls: Touch screen controls
> One year warranty
Specifications - SP200 & SP300 Wi-Fi Boat Sonar
> Permanent boat installation: (#SP200 only)
> Portable boat installation w/suction cup transducer bracket: ( #SP300 only)
> Transducer: High-speed skimmer-style transducer with keel offset and 6 meters of cable.
> Max depth range: 240 Feet
> Sonar frequency: 200/83 kHz
> Dual Beam: 20º/40º
> Power source: 12V DC power
> Power output: 800 Watts Peak-to-Peak
> Transmit speed: 100 Mbps
> One year warranty
> Included 12V, 4.5 amp-hour battery and charger. (#SP300 only)
> Carry case with 12 volt battery and charger: (#SP300 only)
sonarphone.mobi
Show More