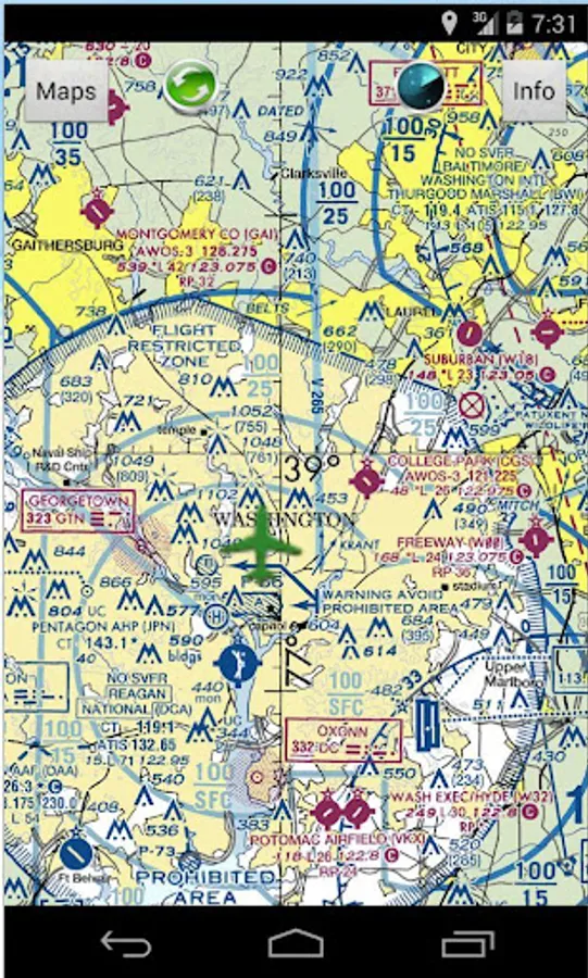
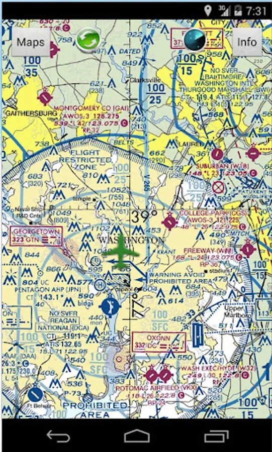
USANav is provide all offline moving FAA VFR Sectional charts. It includes all 50 states including Hawaii and Alaska. USANav is installation comes with a small map database. You can download more charts as you please free of charge. There over 35 charts that cover entire United States. You get unlimited charts database update with this app. All charts work self contained offline when you do not have any network connections (Wifi or 4G). Your current location is shown on a moving map with airplane icon centered around it.
*Location icon can be centered or track from your placement on screen.
*Made by and for pilots
*Easy to use and learn
*Quick and responsive
*All 35 sectional maps provided free with no in-app purchases
*Runs on most Android devices
*No ads or invasive permission
*Terrain maps for entire USA
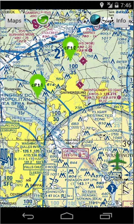
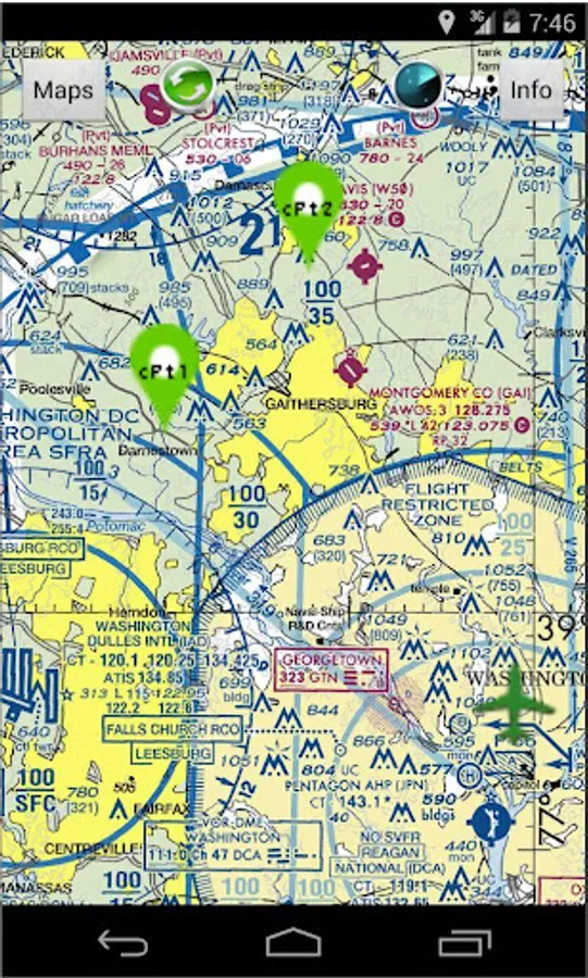
*Add custom markers and way-points for route planning
*Real-time GPS navigation and tracking
http://airplanegroundschools.com/android/usanav-aviation-maps.php
*Location icon can be centered or track from your placement on screen.
*Made by and for pilots
*Easy to use and learn
*Quick and responsive
*All 35 sectional maps provided free with no in-app purchases
*Runs on most Android devices
*No ads or invasive permission
*Terrain maps for entire USA
*Add custom markers and way-points for route planning
*Real-time GPS navigation and tracking
http://airplanegroundschools.com/android/usanav-aviation-maps.php
Show More